
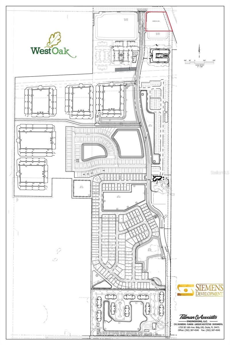
This 2.83-acre Opportunity Zone site is located at the main entrance to the 2300-unit West Oak Village Planned Development in Ocala, FL. It is approved for 25,000 square feet of commercial space. The site is pad-ready with all utilities to the boundary. The West Oak community is a 217-acre community consisting of 1,842 apartments and 458 single-family homes. All are workforce & market-rate residences. It is located 1 mile from the existing Hwy 27 I-75 interchange, and the 500-acre Ocala Marion C...This 2.83-acre Opportunity Zone site is located at the main entrance to the 2300-unit West Oak Village Planned Development in Ocala, FL. It is approved for 25,000 square feet of commercial space. The site is pad-ready with all utilities to the boundary. The West Oak community is a 217-acre community consisting of 1,842 apartments and 458 single-family homes. All are workforce & market-rate residences. It is located 1 mile from the existing Hwy 27 I-75 interchange, and the 500-acre Ocala Marion County Commerce Park. The site is also 1 mile from the new second I-75 interchange featuring Buc-ee's. West Oak is bounded on the north by NW 35th Street & to the south by NW 21st Street. NW 27th Avenue is the western boundary. It is within a mile of I-75 to the west and 441 to the east. Also within 1 mile is the Ocala/Marion County Commerce Park. This 489-acre commerce park, which parallels and abuts I-75, is now home to four Fortune 500 companies, namely FedEx, AutoZone, Chewy & Amazon. Combined, these companies occupy 2,600,000 sqft of distribution & order fulfillment facilities. Another 2,500,000 sqft of distribution is in the final stages of completion. These facilities will create 4,000+ jobs. Significant capacity remains.
View MoreCourtesy of
Agency Name: LINDA SIEMENS REALTY, LLC
Agency Contact: 352-427-1501
Agent Name: Linda Siemens
Presented by
Agency Title: The Keyes Company
Agency Phone:
Request Info
Send an email with a link to
Nw 35th Street, Ocala, FL 34475.
Email Nw 35th Street, Ocala, FL 34475
Thank you for your inquiry! As a thank you, we have a Special Mortgage Offer for You.
We would like to provide you a free, no-obligation, home loan pre-approval review.