
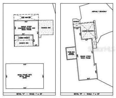
Two Parcels 43.71 Acres total, Land Use Commerce District. Property is located in close proximity to newly approved I75 interchange. Property is fully fenced 2X4/ field wire barbed across the top. There is an old house on the property considered to have no value but could be rehab to an office, metal building and pole barn on the property. Previously mined property, fully reclaimed and soil density tests available.
Courtesy of
Agency Name: COLDWELL BANKER ELLISON REALTY O
Agency Contact: 352-732-8350
Agent Name: Anthony White
Presented by
Agency Title: The Keyes Company
Agency Phone:
Request Info
Send an email with a link to
6910 NW 35th Avenue Road, Ocala, FL 34475.
Email 6910 NW 35th Avenue Road, Ocala, FL 34475
Thank you for your inquiry! As a thank you, we have a Special Mortgage Offer for You.
We would like to provide you a free, no-obligation, home loan pre-approval review.