
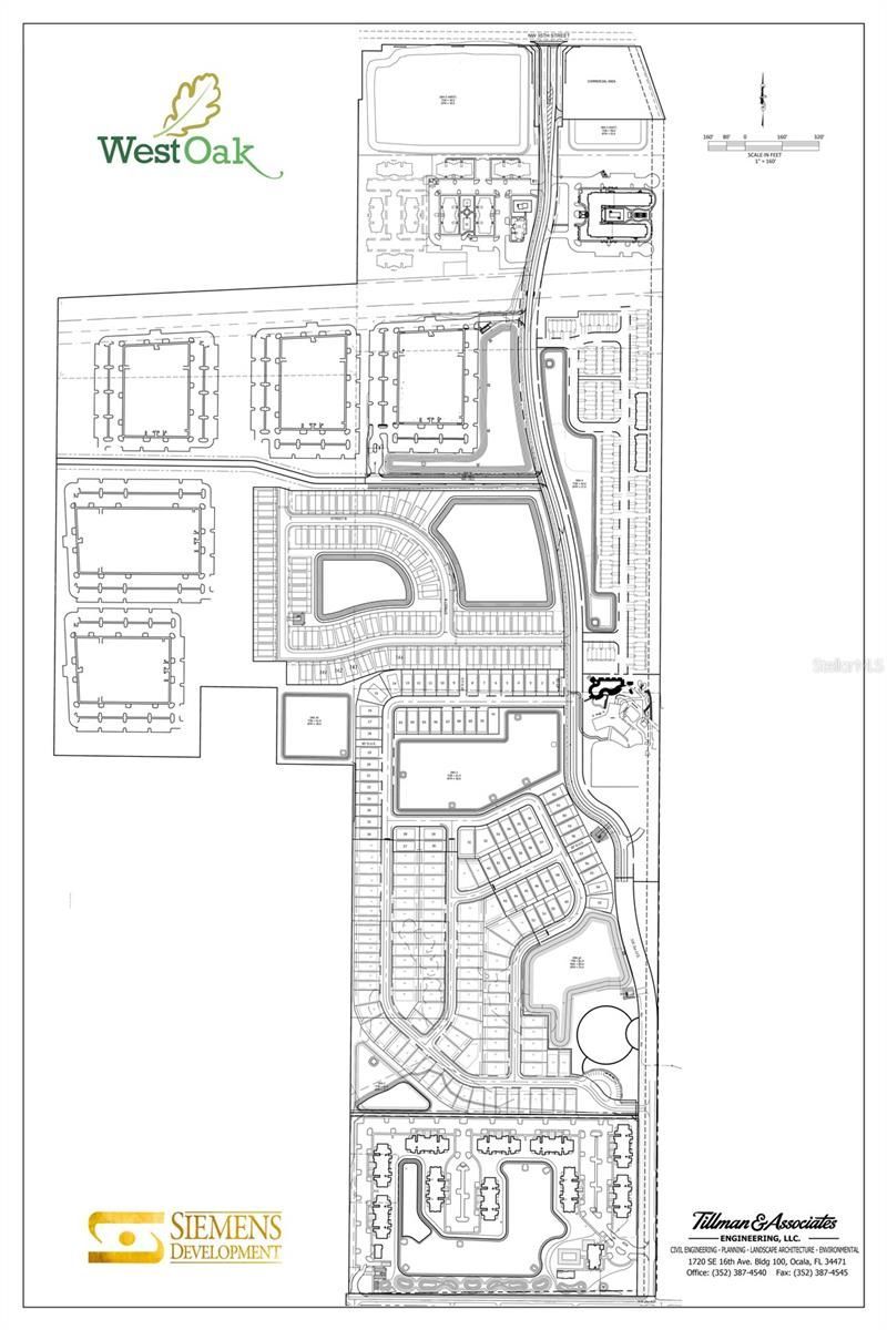
150-unit town home parcel. Shovel ready, site plan and engineering permits in hand. Located in the West Oak Village, Ocala Florida. A 2300-unit masterplan community with 368 occupied apartments, another 100 apartments under construction and 250 in site plan. 100 single family occupied and 210 sites under construction . All utilities to the site; water, sewer, electric, cable. Existing off site drainage DRA provided. Adjacent to the existing 10,000 sf clubhouse, with fitness, pool, and playground...150-unit town home parcel. Shovel ready, site plan and engineering permits in hand. Located in the West Oak Village, Ocala Florida. A 2300-unit masterplan community with 368 occupied apartments, another 100 apartments under construction and 250 in site plan. 100 single family occupied and 210 sites under construction . All utilities to the site; water, sewer, electric, cable. Existing off site drainage DRA provided. Adjacent to the existing 10,000 sf clubhouse, with fitness, pool, and playground and 60-acre park amenities. Site graded and mostly cleared.
View MoreCourtesy of
Agency Name: LINDA SIEMENS REALTY, LLC
Agency Contact: 352-427-1501
Agent Name: Linda Siemens
Presented by
Agency Title: The Keyes Company
Agency Phone:
Request Info
Send an email with a link to
2201 NW 21st Street, Ocala, FL 34475.
Email 2201 NW 21st Street, Ocala, FL 34475
Thank you for your inquiry! As a thank you, we have a Special Mortgage Offer for You.
We would like to provide you a free, no-obligation, home loan pre-approval review.